Quick Navigation: What's Inside This Guide
Let's cut to the chase: brown crickets are everywhere, and if you've found them in your home or garden, you're not alone. I've spent years dealing with these insects, both as a nuisance and as pets, and I've seen it all—from silent infestations that go unnoticed to nights ruined by incessant chirping. This guide isn't just a rehash of basic facts; it's packed with practical tips, personal mishaps, and insights you won't find on typical pest control sites. Whether you're trying to identify a strange bug, stop an invasion, or even raise crickets for fun, you'll find actionable advice here.
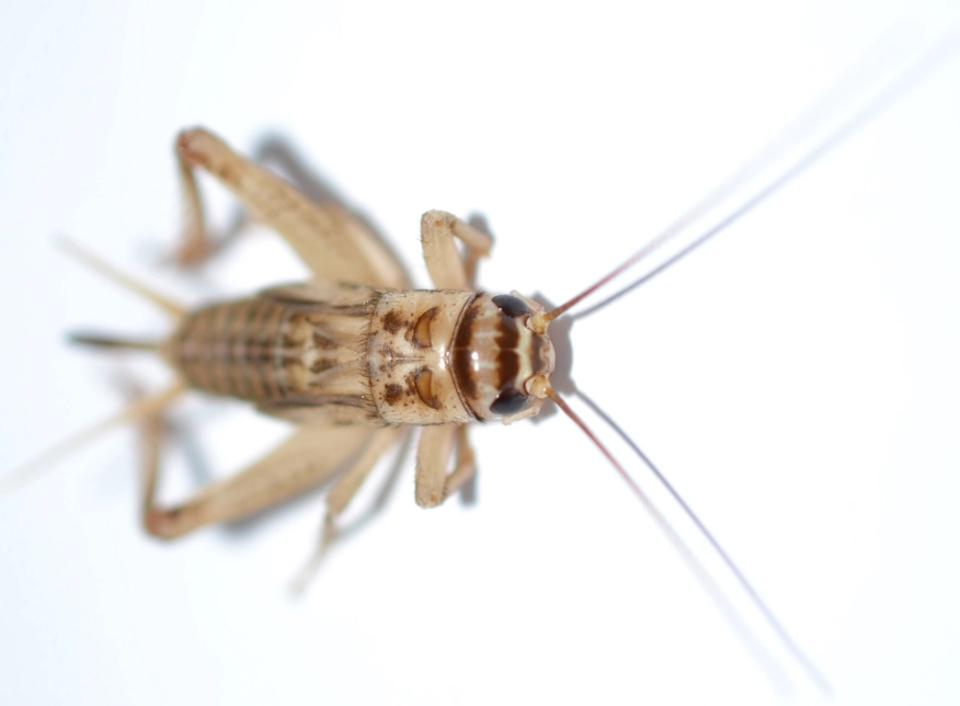
What Are Brown Crickets Really?
Brown crickets, often called field crickets, are a group of insects belonging to the family Gryllidae. They're not a single species but several, like the common Gryllus assimilis or the house cricket Acheta domesticus. Most people lump them together because they look similar: brown bodies, long antennae, and those characteristic hind legs built for jumping. But here's a nuance many miss: the shade of brown can vary from light tan to almost black, depending on age and environment. I once misidentified a dark brown cricket as a different pest, only to realize it was just an older individual—a common rookie error.
Key Species and Their Characteristics
In North America, the brown cricket you're likely encountering is the Gryllus pennsylvanicus, often found in fields and gardens. According to the Entomology Department at the University of Kentucky, these crickets are about 1 to 1.5 inches long and have a lifespan of 2 to 3 months in the wild. Their chirping, produced by rubbing their wings together, is a mating call that peaks in late summer. A fun fact: only males chirp, so if you're hearing noise, it's a guy trying to attract a mate. I've had neighbors blame "cricket armies" for noise, but it's usually just a few males making a racket.
Where They Live and How They Behave
Brown crickets thrive in warm, humid environments. They love grassy areas, under logs, or in mulch beds—anywhere with moisture and cover. In homes, they sneak in through cracks, often ending up in basements, garages, or kitchens. Their diet is omnivorous: they'll munch on plants, other insects, or even fabric if desperate. I recall a summer where crickets in my garage chewed through some old cardboard boxes; it was a mess.
Feeding Patterns and Activity Cycles
These insects are nocturnal, meaning they're most active at night. That's why you might hear chirping after dark but see few during the day. They're attracted to light, which explains why they swarm around porch lights. A pro tip: reducing outdoor lighting can cut down on cricket gatherings near your home. Their breeding season is late summer to early fall, so infestations often spike then. If you see more crickets in August, it's not your imagination—it's biology.
Brown Crickets as Pests: Prevention and Elimination
When brown crickets invade, they can be more than just noisy; they might damage plants, fabrics, or even become a hygiene issue. Prevention is key, but if you're already dealing with an infestation, don't panic. I've tried everything from DIY traps to professional services, and some methods work better than others.
Signs of a Cricket Infestation
Look for these telltale signs: chirping sounds at night, small droppings that resemble black pepper, or damage to plants and fabrics. In one case, I found cricket eggs in a damp corner of my basement—tiny, rice-like clusters that hatch into nymphs. Catching it early saves a lot of hassle.
Effective Control Methods: What Works and What Doesn't
Here's a table comparing common control methods based on my experience and data from sources like the National Pest Management Association. I've included cost estimates and effectiveness ratings to help you decide.
| Method | How It Works | Cost (Approx.) | Effectiveness | Notes |
|---|---|---|---|---|
| Sealing Entry Points | Close cracks, gaps around doors/windows | $20-$50 (DIY) | High | Best long-term prevention; use caulk or weather stripping |
| Sticky Traps | Traps crickets with adhesive | $10-$30 | Medium | Good for monitoring; place in dark, humid areas |
| Insecticides | Sprays or dusts kill on contact | $15-$40 | High | Use cautiously; follow label instructions; may harm pets |
| Natural Predators | Introduce birds or beneficial insects | Varies | Low to Medium | Eco-friendly but slow; not for indoor use |
| Ultrasonic Repellents | Emits sound waves to deter pests | $30-$60 | Low | I found these ineffective; crickets adapt quickly |
From my trials, sealing entry points is the most reliable. I once spent $50 on an ultrasonic device that did nothing—total waste. Insecticides work, but I prefer targeted sprays like pyrethrin-based ones, which are less toxic. For a severe infestation, consider hiring a pro; it might cost $100-$300, but it's worth it for peace of mind.
Keeping Brown Crickets as Pets: A Practical Care Guide
Believe it or not, brown crickets can make interesting pets, especially for reptile owners who use them as feeder insects. I've raised crickets for years, and it's a rewarding hobby if done right. But there's a catch: they're not as low-maintenance as some claim.
Setting Up a Proper Habitat
You'll need a ventilated container, like a plastic bin or glass terrarium. Size matters—aim for at least 10 gallons for 50 crickets. Add substrate: I use coconut fiber or paper towels, which hold moisture well. Provide hiding spots with egg cartons or cardboard tubes. Temperature should be 70-85°F, and humidity around 50-60%. A heat lamp can help, but avoid direct heat that dries them out. I learned this the hard way when a batch died from dehydration.
Feeding is straightforward: offer commercial cricket food, vegetables like carrots, and a water source (use a sponge to prevent drowning). Clean the habitat weekly to prevent mold and odor. One thing nobody tells you: crickets can smell if neglected. I've had escapes too, so secure the lid tightly.
Frequently Asked Questions Answered

Wrapping up, brown crickets are fascinating creatures that can be pests, pets, or part of the ecosystem. The key is understanding their behavior and taking proactive steps. Whether you're sealing cracks, setting up a habitat, or just curious, I hope this guide saves you some headaches. Remember, a little knowledge goes a long way—I wish I had this info when I first dealt with a cricket invasion years ago.
Comments